こんばんは🌛ユーキです!
2月5日(水)
今日は地元のダイバーさんと西風爆風なので秋の浜へ💨
ヒラマサにマグロに大量のイサキに!大物盛りだくさんでした‼️
今日も西風爆風で高速船も午前中は頑張って出たものの午後便は欠航に…
明日も変わらずの天気なので高速はまたしても欠航かな…
そんなお天気ですが秋の浜だけは問題なく潜れています!
〈秋の浜〉
水温 16℃ 透明度 10~20m 海況 良好
エントリー前に小さな鳥山を見つけたので少し期待していましたがイワシの気配はなく、代わりに大量の固まったイサキとマグロ、ヒラマサ等は見ることが出来ました👀

秋の浜のナンヨウハギことドリーの幼魚達ですがいまだ元気に泳いでいました!
あと数ヶ月でいなくなってしまうのが残念😭

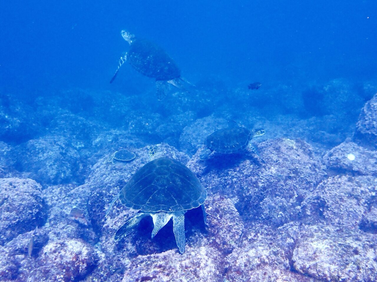
エントリーしてすぐの場所やエキジット場所の近くでは1m越えのアオウミガメが5匹、小ぶりの子も2匹とウミガメパラダイスでした🐢
大きい個体は肝っ玉がすわっているのか、
かなり近づいてものびのびとしていました😅
カエルアンコウ系は久々の登場のオオモンカエルアンコウの幼魚、クマドリカエルアンコウ、イロカエルアンコウの幼魚、かなり長い間観察できています!



他にはカンムリベラの幼魚、ツユベラの幼魚も!


ウミウシ系は
サガミリュウグウウミウシやコールマンウミウシ
キイロイボウミウシ、ボブサンウミウシ、キカモヨウウミウシなども見れました!
他にはハチジョウタツやワカヨウジ、
ネッタイミノカサゴの幼魚なども見ることが出来ました!
今期最大の寒気到来中で夜はかなり冷え込むので、皆様も暖かくしてお過ごしください🥶
では、また👋
